大庄严寺

大庄严寺始建于隋仁寿三年(603年),是隋文帝为独孤献皇后所立,初名“禅定寺”。隋文帝崇尚佛教,他的皇后独孤氏出自鲜卑大族,文帝对他很敬重,让她参与朝政,宫中称之为“二圣”。独孤皇后于仁寿二年(602年)去世,次年为其追荐阴福而立寺。禅定寺位于隋唐长安城的西南隅。寺院规模宏大,占永阳坊之东半部,以后又将永阳坊北邻的平坊之东半部亦划归寺内,总面积为60公顷。主持修建大兴城(唐改称长安城)的宇文恺,“以京城之西有昆明池,地势微下,乃奏于此建木浮图。崇三百三十尺,周回一百二十步。”[1]隋大业三年(607年),炀帝为文帝立寺曰大禅定寺,占了永阳坊与以后划入的和平坊的西半部。寺院的规模建制与东邻的禅定寺完全一样,亦建有木浮图,高度与之相埒。唐初德元年(618年)因为隋文帝曾自立法号,称“总持”,又呼独孤皇后为“庄严”,故改二寺名为“大总持寺”、“大庄严寺”[2]。
作为皇家寺院,大庄严寺不只规模宏大,而且殿宇壮丽,为当时京城之最。所谓“殿堂高耸,房宇重深,周闾等宫阙、林圃如天苑。举国崇盛,莫有高者。”[3]且寺内营饰华丽,寺壁多绘有名家壁画,万象纷呈,璀璨夺目。如南门外白蕃神为尹琳所画,中门外两大幅画是号称“画圣”的吴道子的弟子卢棱迦所画,总持、庄严二寺的门额均为少詹事殷令名所书。[4]这些都誉满京都。唐初京师的硕学名僧如智首、道岳等都曾在寺内主持寺务。玄奘法师年未弱冠时,曾偕其二兄长捷法师到京游学,就慕名住在庄严寺内。大庄严寺内林木丛茂,风景宜人。据称寺内:“密竹翠松,垂阴擢秀,行而迷道。”[5]从“寺中常贡梨花蜜”[6]的记载可知,寺内必然广植梨树。所以庄严寺一直是京师黎民士庶游览避暑的好去处。尤其是在总持、庄严二寺内巍然屹立的双塔,已经成为隋唐长安城西南隅的标志性建筑,成为人们登高远眺的游乐胜地。唐景龙年间,中宗曾在九月九日重阳节时,在寺塔上开筵席,陈伎乐,赐菊酒,宴群臣,并与群臣倡和吟诵,留下了脍炙人口的诗篇。大庄严寺内又珍藏“法门法献,从乌踵国取以归”[7]的佛牙。每年定期举行供养佛牙的盛会,豪门贵族、僧俗士庶争相到寺随喜,顶戴礼拜,发愿布施,鼓乐喧天,更是倾动京师。

关于总持、庄严二寺之木塔:先建的是庄严寺塔,高三百三十尺,周回百二十步;而后建的总持寺塔,其“高下与西浮图(应是东浮图)不异”[8]。两塔的高低一样,这很明确,但建筑形式同否则不详。再据《续高僧传》的记载,禅定寺“架塔七层,骇临云际”,炀帝“奉为二皇,双建两塔七层木浮图”的记载看,两塔都是七层。看来,两塔不只高低一致,建筑形制也是一致或相似的。
文献记载庄严寺塔高三百三十尺,周回一百二十步。按唐尺折算,高三百三十尺约合百米,周长一百二十步约合72米。对比现存至今的唐代砖塔大雁塔高64米,小雁塔高45米,而木结构塔高达百米,实在令人难以置信。从中国古文献记载建筑高度,多不精确,常有夸饰看,或也属此。但又据文献记载二塔修建的工期,庄严寺塔用了八年时间,总持寺塔用了五年时间看,工程是十分繁巨的。由此可见,二塔是具有相当规模的,其高虽可能不至百米,但也应该是相当巍峨的!又据唐代诗人对庄严、总持二寺木塔的吟诵,有时称其为“浮图(即塔)”,更多的则称其为“阁”。如宋之问的应制诗题称:“奉和圣制闰九月九日登庄严总持二阁”。而同时与会的李峤、刘宪、李乂等都题为“闰九月九日幸总持寺登浮图应制”。此后的诗人岑参、耿常等诵题均又称其为“阁”。但对照同是佛教建筑的慈恩寺塔——大雁塔,唐人对其均呼作浮图或塔,绝无称其为“阁”者,究其原因,可能是武则天长安年间(701—704年)重建的大雁塔已不是初建时的仿西域窣堵波的形式,而是依照国传统建的楼阁式七层塔,塔体由青砖砌成,每层四面各有券门,以便眺望。随称为阁楼式砖塔,但与中国传统的楼阁建筑形制相去甚远。而庄严、总持二寺也是七层浮图,但塔体为木结构,其每层周匝的门户窗槛、回廊栏杆,其形制更接近于当时土木结构的楼阁建筑,或因之人又迳称其为“阁”了。
大庄严寺在长安城内的诸多佛寺中,一直处于十分突出的地位。不但受到广大僧侣信徒的尊崇,也得到唐朝廷的重视。唐朝廷常在寺内举行各种法事斋会。每遇诞辰忌日在此举行祈祷祝福,皇帝也至寺礼拜游览。对寺院的住持、上座等高层的任命,往往由唐朝廷遴选硕学大德来担任。剃度僧人、布施供养更是经常的事。在会昌五年(845年)唐武宗大力禁佛时,京城内的佛教寺院大多遭到禁毁,但仍明令在街东保留慈恩、荐福二寺,街西保留西明、庄严二寺。由此亦可见其在京城诸佛寺中的突出地位。大中七年(853年)宣宗幸庄严寺“礼佛牙,登大塔,宣问耆年”时,称赞庄严寺“复殿重廊,连甍比栋,幽房袐宇,窈窕疏通。密竹翠松,垂阴擢秀,行而迷道。天下梵宫,高明寡匹。”[9]改寺名为“圣寿寺”。可见,庄严寺在禁佛之后,仍保留着昔日的盛况。而这时的总持寺则是“香径甚侵,尚存基址”[10],已经废毁。但未提及总持寺木塔,或已荡然无存。故宣宗敕令重建,总持寺得以稍有恢复,但已远非昔比。史载大历十年(775年)庄严寺塔遭雷击而起火,幸赖寺僧数百人扑救,而“栋宇无损”[11]。经过会昌禁佛,宣宗登塔游览,可见庄严寺塔屹立如故。

咸通三年(862年)懿宗“敕于两街四寺各置戒坛,……两街四寺,谓慈恩、荐福、西明、庄严。”[12]可见大庄严寺在有唐一代,一直保护着显赫的地位。
唐末战乱兵火,唐长安城遭到毁灭性的破坏,大庄严寺也不能幸免。五代时,外郭城已遭废弃,仅缩守原来的皇城,位于唐长安城西南隅的庄严寺,已处于远离府城的郊野。但由于庄严寺在中国佛教史上的地位,更可能是由于木浮图在劫后尚存的缘故,宋元时大庄严寺得以重建,而稍具规模。但元末兵火中又遭浩劫,屹立了七八百年的庄严寺木塔也遭焚毁。明代又对庄严寺重建恢复,但在明末战乱中,又废毁殆尽。清初康熙三十八年(1699年)陕西巡抚鄂海等主持修建了殿宇,重塑了佛像,又建立了五楹大阁,使大庄严寺又稍具规模。清同治年间又遭兵燹。清代末季,已无力恢复,殿宇颓败,远非昔日。新中国成立后,为保护西安古城的文化遗存,在寺址建立了木塔寺苗圃。寺院旧址仅可见砖砌三门的中间门洞(图一),原大殿殿基前左右列植的两株龙爪槐尚郁郁葱葱(图二)。寺址北端有雕花青砖砌筑的窑洞式建筑(图三),仍然残存。清康熙、嘉庆年间所立的几块碑石,已仆伏于茂草中了。

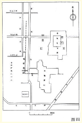
2004年5月,西安历史名城研究会委托中国社会科学院考古研究所唐城工作队,对唐长安城西南隅遗址进行勘探时,在西距唐城西墙280米、南距唐城南墙440米处,发现一处45米见方的夯土基址。(图四中1号遗址)夯土基址中部的厚度为2.1米,周边约1.7米,估计应是大总持寺木塔基所在。此塔基向东400米,即今木塔寺苗圃东南,已为临时建筑叠压, 据当地故老称此处是一方形夯土基址,(图四中2号遗址)1958年曾将台基石条挖出作大炼钢铁之填料,20世纪50年代的地形图上对此处也有标示。从两者东西对称的位置看,此处应是大庄严寺塔塔基所在。
由于大庄严寺和大总持分占永阳坊的东西部,到了唐代又将空旷的和平坊的东、西分别划二寺。根据钻探资料,永阳坊东西宽约1100米,坊内南北大街中分东西各为540米左右。道东的大庄严寺是先建的,发现的塔基位置西距坊内南北大街约百米,东距东坊墙约430米,可见其塔基不在寺院中轴线上,而是位于寺院偏西北的部位。发现的大总持寺塔基遗址的位置则在东距坊内南北大街约300米,西距西坊墙约230米处,由于“寺内制度,与庄严寺正同”,其塔的位置也应在寺的西北部。以此推测,大总持寺的殿宇建筑布局是以坊内南北大道为准,向西按庄严寺的布局规划。总持寺塔基距坊内南北街300米,而庄严寺塔基距坊内南北街约百米,故估计其寺院建筑可能是在东西面阔400米的范围内布局的。在总持寺的西侧应有百十米的空旷地,同样在庄严寺的东侧也应有百十米的空旷地,应是寺内园囿绿化的地方。
另外,在两塔塔基北侧各发现两处夯土基址,估计应是寺院的殿宇基址。(图四中2、3、4、5、6号遗址)
(韩保全 西安市文物局 原总工程师 研究员)
注释:
[1] [2] [6]宋敏求:《长安志》卷十。
[3]《续高僧传》卷十八。
[4]《名画记》卷三。
[5]《宋高僧传》卷十六。
[7] 宋敏求:《长安志》卷一O。
[8]《西京城坊考》卷四。
[9] [10]《宋高僧传》卷一六,慧灵传。
[11]《旧唐书·五行志》卷卅七。
[12]《通鑑》卷二五O。
欢迎投稿:lianxiwo@fjdh.cn
2.佛教导航欢迎广大读者踊跃投稿,佛教导航将优先发布高质量的稿件,如果有必要,在不破坏关键事实和中心思想的前提下,佛教导航将会对原始稿件做适当润色和修饰,并主动联系作者确认修改稿后,才会正式发布。如果作者希望披露自己的联系方式和个人简单背景资料,佛教导航会尽量满足您的需求;
3.文章来源注明“佛教导航”的文章,为本站编辑组原创文章,其版权归佛教导航所有。欢迎非营利性电子刊物、网站转载,但须清楚注明来源“佛教导航”或作者“佛教导航”。



